SIÊU PHẨM PHÂN LÔ – ĐẤT LỚN P.THẠNH LỘC, Q12 – 3.298m² ĐẤT Ở, GIÁ CHỈ 22TR/M²
- Khu vực: Quận 12, TP.Hồ Chí Minh
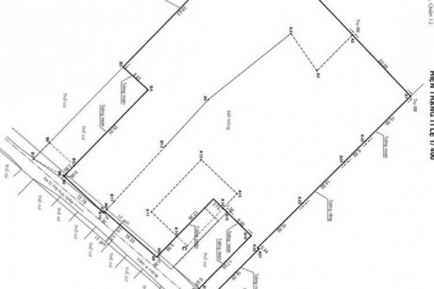
- Diện tích: 53m x 73m
- Tổng diện tích: : 3298 m2
SIÊU PHẨM PHÂN LÔ – ĐẤT LỚN P.THẠNH LỘC, Q12 – 3.298m² ĐẤT Ở, GIÁ CHỈ 22TR/M²
Chính chủ gửi bán – cơ hội vàng cho anh em đầu tư, phân lô – tách thửa cực đẹp!
Vị trí đắc địa: 1 sẹc Thạnh Lộc 13, gần chợ Cầu Đồng - Cách TL19 mới mở chỉ 100m – Gần Quốc lộ 1A - Đường xe tải ra vào thoải mái Diện tích khủng: Ngang 33m nở hậu 53m, dài 73m. Tổng 3.298,8m² – Trong đó có 3.272,6m² là đất ở
Thích hợp làm:
Phân lô – tách thửa
Kho xưởng – nhà vườn – villa nghỉ dưỡng
Dự án nhỏ đầu tư giữ tài sản lâu dài
Giá: chỉ 22 TRIỆU/m² – còn TL chính chủ
Sổ hồng riêng – pháp lý rõ ràng – giao dịch nhanh.
Liên hệ ngay Ms Mỹ - 0909.805.456 – Quỹ đất hiếm, đất ở đô thị Q12 – vị trí tiềm năng sinh lời cực cao!
Chính chủ gửi bán – cơ hội vàng cho anh em đầu tư, phân lô – tách thửa cực đẹp!
Vị trí đắc địa: 1 sẹc Thạnh Lộc 13, gần chợ Cầu Đồng - Cách TL19 mới mở chỉ 100m – Gần Quốc lộ 1A - Đường xe tải ra vào thoải mái Diện tích khủng: Ngang 33m nở hậu 53m, dài 73m. Tổng 3.298,8m² – Trong đó có 3.272,6m² là đất ở
Thích hợp làm:
Phân lô – tách thửa
Kho xưởng – nhà vườn – villa nghỉ dưỡng
Dự án nhỏ đầu tư giữ tài sản lâu dài
Giá: chỉ 22 TRIỆU/m² – còn TL chính chủ
Sổ hồng riêng – pháp lý rõ ràng – giao dịch nhanh.
Liên hệ ngay Ms Mỹ - 0909.805.456 – Quỹ đất hiếm, đất ở đô thị Q12 – vị trí tiềm năng sinh lời cực cao!
Giá bán
Giá thỏa thuận
Môi giới cá nhân













