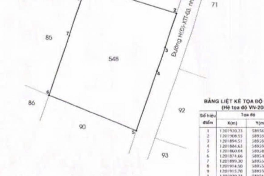
ĐẤT (50x39) MẶT TIỀN XUÂN THỚI THƯỢNG 03 (NAY XÃ BÀ ĐIỂM), HÓC MÔN
- Khu vực: Huyện Hóc Môn, TP.Hồ Chí Minh
- Diện tích: 50m x 39m
- Tổng diện tích: : 1943 m2
| ĐẤT (50x39) MẶT TIỀN XUÂN THỚI THƯỢNG 03 (NAY XÃ BÀ ĐIỂM), HÓC MÔN | ||||||
| DIỆN TÍCH LỚN – MẶT TIỀN RỘNG – PHÁP LÝ SẠCH | ||||||
| Diện tích: 50 × 39 = 1.943m², trong đó 500m² thổ cư | ||||||
| Vị trí chiến lược: Khu dân cư đông đúc, giao thông thuận tiện – phù hợp xây nhà vườn, kho xưởng, đầu tư dự án | ||||||
| Giá bán: 32 TỶ – Thương lượng chính chủ | ||||||
| ĐẤT LỚN – VỊ TRÍ ĐẸP – CƠ HỘI ĐẦU TƯ HIẾM TẠI BÀ ĐIỂM! | ||||||
| Liên hệ ngay Ms Mỹ - 0909.805.456 để xem đất và chốt giá tốt nhất! | ||||||
Giá bán
Giá thỏa thuận
Môi giới cá nhân













